zurück
weiter
Nichtamtliches Inhaltsverzeichnis
Gesetz zur Errichtung neuer Freihäfen und zur Änderung des Zollgesetzes
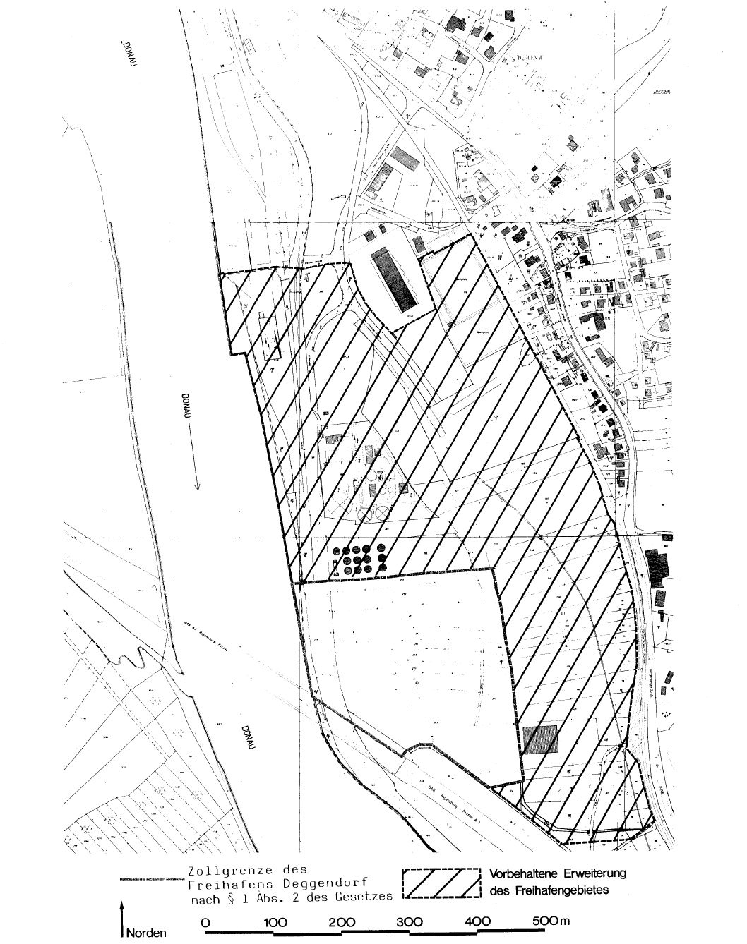
Anlage 1
(zu § 1 Abs. 2 und 4 des Gesetzes)
(Fundstelle: BGBl. I 1989, 1543)
zum Seitenanfang
Impressum
Datenschutz
Barrierefreiheitserklärung
Feedback-Formular